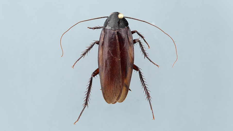
Suurikokoinen torakkalaji havaittu ensi kertaa Suomessa
Yli kolmen senttimetrin pituinen torakka löytyi joulukuun alussa Oulun alueelta ja toimitettiin Oulun yliopiston yli-intendentti Marko Mutaselle, joka määritti yksilön Periplaneta fuliginosa -torakaksi – savutorakaksi.
Lajille ei vielä ole olemassa suomenkielistä nimeä. Englanniksi se on smokybrown cockroach, joten Mutanen kutsuu uutta tulokasta savutorakaksi. Kiiltävän tummanruskeaa torakkalajia ei tiettävästi ole aiemmin Suomesta todettu tai raportoitu.
Suomessa elää kaksi luonnonvaraista torakkalajia, minkä lisäksi sisätiloissa tavataan nykyään useimmiten russakkaa eli saksantorakkaa. Maailmalla ihmisen seuralaislajina elää useita suurikokoisia torakkalajeja, joista Suomestakin aika ajoin tavataan satunnaisyksilöitä, etenkin amerikan- eli sokeritorakasta.
Savutorakka on sokeritorakan sukulainen, joka on paikoin maailmalla levinnyt ihmisasuntojen riesaksi. Varsinkin Japanissa, Australiassa, eteläisessä Pohjois-Amerikassa ja paikoin Etelä-Amerikassa savutorakka on levinnyt ihmisasumuksiin, joissa se viihtyy varsinkin niiden kosteimmissa ja lämpimimmissä osissa. Muiden torakoiden tapaan sen ravinnoksi kelpaa hyvin monipuolisesti erilainen orgaaninen jäte, mukaan lukien ihmisravinto. Muiden torakoiden tavoin savutorakka lisää epähygieniaa, levittää tauteja ja aiheuttaa allergisia oireita ja astmaa, mutta niistä ei ole varsinaisesti haittaa rakennuksille.
– Savutorakka ei näytä olevan haitallinen vieraslaji, sillä se ei uhkaa luonnonvaraista alkuperäislajistoa, mutta tuholaislajiksi sen voinee laskea, Mutanen arvioi tiedotteessa.
Savutorakka on päätynyt Suomeen ihmistoiminnan, luultavimmin kansainvälisten kuljetusten mukana. Savutorakka on esimerkki suuresta globaalista ongelmasta, kun maailmanlaajuisesti liikkuva rahtitavara siirtää mukanaan myös ei-toivottuja lajeja kiihtyvällä tahdilla. Ilmaston lämpenemisen myötä tulokkaat voivat selviytyä ja sopeutua Suomen olosuhteissa. Viime aikoina on uutisoitu esimerkiksi paperitoukan hyvin nopeasta leviämisestä Suomessakin, ja laji pystyi sopeutumaan kaikkialle maailmaan kuljetettavan aaltopahvin mukana.
– Savutorakasta tunnetaan toistaiseksi Euroopasta vain harvoja havaintoja, mutta tosiasiassa se voi olla varsinkin Etelä-Euroopassa jo laajalle levinnyt ihmisen seuralaislaji, Mutanen arvioi.
Laji ei toistaiseksi ole tehokkaasti kyennyt leviämään viileämmille alueille.
– Ihmisasunnoissa tuntuu aina vallitsevan eri lajeille sopivat olosuhteet, muistuttaa Mutanen.
Savutorakka voisi pärjätä esimerkiksi suurissa rakennuskomplekseissa, kaupungeissa ja viemäriverkostoissa.
– Savutorakka on huomiota herättävä otus, ja löytyy helposti. Yhdestä yksilöstä ei tarvitse huolestua, mutta jos löytyy toinen, on syytä epäillä, että savutorakka on onnistunut lisääntymään, Mutanen neuvoo.
Ihmisen seuralaislajisto muuttuu nopeasti toisten lajien hävitessä ja toisten taas menestyessä sen mukaan, miten ihmisten elinolosuhteet eri alueilla vaihtelevat ja kehittyvät. Myös Suomessa monet aiemmin asunnoissa tavalliset lajit ovat käyneet harvinaisiksi toisten vallatessa tilaa.
Aikoinaan suomalaisissa asuinrakennuksissa eli kaikkialla ruotsintorakoita. Isorotta oli kuitenkin tehokas ruotsintorakan saalistaja ja niinpä ruotsintorakka käytännössä hävisi, minkä jälkeen russakka valtasi tilaa. Rotat ovat edelleen Suomessa ihmisen seuralaislaji. Savutorakan luontaisia vihollisia ovat rotat, virukset ja sukkulamadot, jotka loisivat torakoissa.
Aamuset-kaupunkimedia (AKM)
















